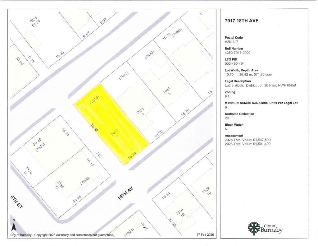
7917 18th Avenue, East Burnaby, Burnaby

$1,399,900 |   MLS® Number  R3097424

House for sale in Burnaby, Burnaby East, 7917 18th Avenue, 263119051 | Realtylink.org

House for sale, 11 rooms, 2 bedrooms, 1 bathroom

Style
Rancher/Bungalow w/Bsmt.
Year Built
1948
Floor Area
1,990 sqft
Lot Size
6,154 sqft
Lot Frontage
51.5 ft
Fireplace Features
Wood Burning
Community
Shopping Nearby
Parking Features
Carport Single, Lane Access, Side Access
Parking Spaces
1
Property Taxes
$5,477 (2025)
83

Open Houses

Saturday, March 14 2 to 4 p.m.
Sunday, March 15 2 to 4 p.m.

SSMUH – Rare Dual Street Exposure in Burnaby. 51.5 ft x 119.5 ft lot (6,154 sq ft) designated Small-Scale Multi-Unit Housing – permitting up to 6 units per lot (buyer to verify with City of Burnaby). Exceptionally rare opportunity with 18th Avenue frontage and 19th Avenue at the rear, plus side lane access - ideal for redevelopment flexibility, access planning, and potential multi-entry design. Currently a livable 2-bedroom home and unfinished basement, offering holding income while you plan your project. Perfect for Developers, Investors First-time buyers looking to secure land value, multi-generational housing concepts. Lots with street access front and back in Burnaby are extremely limited, this configuration opens up significant design potential. Call today to explore the possibilities